Skip to content

Menu

Network by SubjectChannelsBlogsHomeAboutContact
AI Legal Journal logo
Subscribe
Search
Close
PublishersBlogsNetwork by SubjectChannels
Subscribe

Whose Property Line Is That Anyway? Understanding Massachusetts Boundary Line Disputes and Surveying Law

By Rich Vetstein on March 15, 2026
Email this postTweet this postLike this postShare this post on LinkedIn

If you’ve ever looked at your property line and thought, “Wait, does that fence belong to me or my neighbor?” — you’re not alone. Boundary and property line disputes are surprisingly common in Massachusetts, especially where deeds and plans often date back to the 1800s.

I’ve handled many of these cases and most follow a common fact pattern. A property owner discovers that a fence, shed, pool, or even a house may sit over the property line, or neighbors are mistaken as to where the property line is located. Sometimes entire subdivisions or neighborhoods are infected with survey errors which have been passed down from owner to owner for decades. The end result is often a big legal mess, with neighbors upset with each other and unable to agree on where the property line actually sits.

These disputes often boil down to conflicting surveys, ancient deeds, old stone bounds and monuments, and a legal set of rules called the “hierarchy of priorities” that Massachusetts courts and surveyors use to decide who owns what. It can get very complicated, very fast. With that said, here’s what every Massachusetts homeowner and real estate professional should know about Massachusetts boundary line disputes and surveying law.

When a boundary dispute arises, one of the first questions homeowners ask is: “How does a surveyor actually determine where the property line is?” Contrary to popular belief, a professional boundary survey is not simply a matter of measuring distances with modern GPS equipment. Determining a property line in Massachusetts requires historical research, legal interpretation of deeds, and field investigation that may reach back more than a century.

A licensed Massachusetts Professional Land Surveyor (PLS) typically follows a series of steps known as boundary retracement—the process of locating the original boundary established when the property was first created.

Step 1: Title Research

The first step usually happens before the surveyor even goes to the property. Surveyors conduct title research at the Registry of Deeds to examine:

  • The current deed for the property
  • Prior deeds in the chain of title
  • Deeds of neighboring properties
  • Historic plans
  • Easements and rights of way

Often, this research goes back 100 years or more, especially in older Massachusetts towns where lots were created in the 1800s or even earlier. The purpose is to understand how the property was originally created and how its boundaries were described in historic documents.

Step 2: Analyze Deed Descriptions: Plan Reference or “Metes and Bounds”

Most Massachusetts lots are laid out either referencing a plan recorded in the registry of deeds or what is called a “metes and bounds” description in their deed. When a deed references a recorded plan, the analysis relatively straightforward. The recorded plan has been drawn up by a licensed surveyor using standard survey equipment and technology available at that time. Lot lines are demarcated on the plan and referenced with boundary markers in the field, typically metal survey markers or pins, or stone bounds or other “monuments.” Recreating and marking the lot in the field requires the surveyor to retrace those lines on the ground using the bearings, distances, and monuments shown on the plan. Sometimes there are discrepancies with how the plan was drawn up versus markers or bounds in the field. Surveyors are human and sometimes they make mistakes. If that happens, surveyors may have to research older plans or deeds pre-dating the recorded plan and figure out the original creation of the lot and its evolution over time. I’ll explain how that works in a little bit.

How a “Metes and Bounds” Deed Description Works

The other type of deed description is called metes and bounds. Metes means “measure” or “measured distances” (how many feet along each side). Bounds means “boundaries” or “directions” (the compass bearings or angles that tell you which way to go).

A typical deed using a metes and bounds description might read:

A certain parcel of land with the buildings thereon situated in Framingham, Middlesex County, Massachusetts, being shown as Lot 10 on a plan entitled “Plan of House Lots in Framingham on a Proposed Street Being School Street” dated December 15, 1879, recorded with Middlesex South District Registry of Deeds in Book 1569, Plan 64, and more particularly bounded and described as follows:

Beginning at a point on the northerly side of School Street at the southeasterly corner of the granted premises;

Thence running North 48° 01′ 23″ East by land now or formerly of Smith eighty-two and 00/100 (82.00) feet to a stone bound;

Thence running North 41° 58′ 37″ West by land now or formerly of Jones seventy and 00/100 (70.00) feet to an iron pipe set;

Thence running South 48° 01′ 23″ West by land now or formerly of Brown eighty-two and 00/100 (82.00) feet to a point on the northerly sideline of School Street;

Thence running easterly by said School Street seventy and 00/100 (70.00) feet to the point of beginning.

To calculate the lines, the surveyor starts with the “Point of Beginning” (POB) — usually a specific, identifiable spot such as a stone bound, iron pipe, or intersection with a road. Then, following the deed description of the angle and distance, the surveyor walks the entire perimeter of the property in a clockwise or counterclockwise direction. For each side, the metes and bounds description gives:

  • A bearing (direction, e.g., “North 44° East” or “S 56½° West”)
  • A distance (e.g., “84.3 feet”)
  • A monument (e.g., “to a stone bound” or “along land of Brennan”)

When the deed reaches the last side, the description may say “to the point of beginning” — closing the loop. Once the surveyor has mapped out the metes and bounds description, they will mark the lot corners in the field, mark the lot lines, and from there, they should draw up a new survey plan to assist the homeowner.

Step 3: Field Investigation and Monument Search

After the research and analysis phase, the surveyor visits the property to conduct field work. This may include searching for physical boundary markers such as:

  • Stone bounds
  • Iron pipes
  • Drill holes
  • Concrete monuments
  • Old fence lines
  • Walls or historic structures

Sometimes these monuments have been in the ground for more than a century. Even if partially buried, damaged, or displaced, these markers can provide critical evidence of the original boundary.

Modern surveyors often use advanced equipment such as:

  • Robotic total stations
  • GNSS RTK GPS systems
  • Digital data collectors

Step 4: Compare Field Evidence with Historical Plans

Surveyors then compare what they find in the field with:

  • historic subdivision plans
  • older surveys
  • deed descriptions
  • neighboring property lines

This process helps determine whether monuments line up with the historic layout of the lot. If the physical evidence and historical documents align, the surveyor can usually reconstruct the original boundary with a high degree of certainty.

Step 5: Prepare the Survey Plan

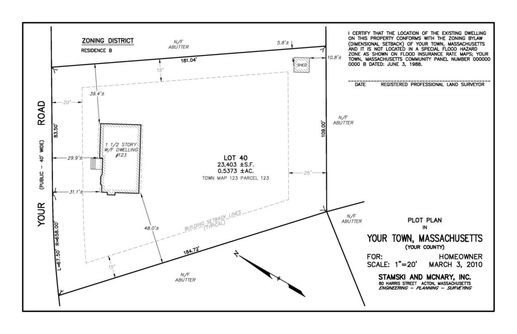
Finally, the surveyor prepares a survey plan or boundary plan showing:

  • the lot lines
  • the location of monuments
  • buildings and improvements
  • encroachments (if any)
  • measurements and bearings

This plan becomes the primary evidence used in court if a boundary dispute results in litigation. Instrument survey plans prepared for litigation are often far more detailed than standard mortgage or plot plans.

Step 6: Resolve Conflicts and Apply the Hierarchy of Priorities

But what happens when two property owners and their surveyors come to different conclusions about where the boundary line is located? When there is a legal dispute over a boundary line, surveyors and courts follow a well-established legal set of rules known as the hierarchy of priorities. Think of it as a pecking order of evidence used to determine the true boundary when different measurements or descriptions in deeds conflict.

Gunter’s Chain circa 1890

In my experience, the hierarchy of priorities often arises when we are looking at older properties, which can have errors or ambiguities. Back in the 1800’s, surveyors used a device called a Gunter’s Chain, a measuring device which was exactly 66 feet long, made of 100 metal links, with each link measuring 7.92 inches, and the links were connected with rings so the chain could be stretched out along the ground. Surveyors would stretch the chain between two points to measure distance.

With a Gunter’s Chain, distances shown in older deed and plans may be off by a few feet, angles may have been measured with other older tools, and survey plans may not line up exactly. The hierarchy of priorities helps resolve those conflicts by answering a simple question: What evidence should we trust the most when determining the original boundary?

The Hierarchy of Priorities Explained

So, faced with conflicts and disputes concerning the boundary line, how does a surveyor or the attorney resolve those disputes? This is where the hierarchy of priorities comes in. Massachusetts law generally prioritizes boundary evidence in the following order:

  1. Senior rights (earlier conveyances)
  2. Natural monuments (streams, rivers, shorelines)
  3. Artificial monuments (stone bounds, pipes, drill holes)
  4. Record monuments (abutter boundaries or street layouts)
  5. Bearings or courses
  6. Distances
  7. Coordinates
  8. Area

A lot of this may not make much sense to a person without legal training. The basic idea is simple: courts and surveyors give greater weight to evidence higher on the list because it is generally considered more reliable than evidence lower on the list.

Let me give you a real world case study. In a recent boundary dispute in Lexington between two neighboring property owners, both sides hired licensed surveyors and the surveys differed by about 2 feet as to where the property line should run. One surveyor relied primarily on measurements and calculations taken from surrounding lots and distances shown on plans. The other surveyor relied on a stone bound that had been placed in the ground in the late 1800’s and was referenced directly in the deed describing the property. The other surveyor claimed that the stone bound was erroneously placed in that location. Under the hierarchy of priorities (#3 – Artificial Monuments), the physical monument of an old stone bound would generally take precedence over distances or calculations written in a deed or found in deeds or plans of abutting or nearby properties. In other words, when there is a conflict, courts usually trust the object that was actually placed in the ground to mark the boundary rather than numbers written on paper that may have been measured with less precise tools over a century ago.

_____________________________________________________________________

By now, you probably have eye fatigue from reading this long post. Don’t fret. I’ve decided to turn this into a series and the next post I’ll discuss what happens if you have to litigate one of these cases. I’ll also do a post on how to select a surveyor.

For now, I’ll say don’t wait for a dispute to hire a surveyor or an attorney. And don’t try to resolve it with a measuring tape and a friendly chat over the fence – boundary disputes rarely end that way. These cases can get nasty fast.

______________________________________________________________________________________

If you are dealing with a Massachusetts boundary line or property line dispute, you can contact me at rvetstein@vetsteinlawgroup.com or 508-620-5352 for a consultation. I’ve handled scores of these cases through trial and appeal, both in Superior Court and Land Court, and on appeal.

Richard D. Vetstein, Esq. is a Massachusetts real estate attorney and author of the Massachusetts Real Estate Law Blog. He handles boundary disputes, adverse possession, and title cases across Massachusetts.

  • Posted in:
    Real Estate & Construction
  • Blog:
    The Massachusetts Real Estate Law Blog
  • Organization:
    Vetstein Law Group
  • Article: View Original Source

LexBlog logo
Copyright © 2026, LexBlog. All Rights Reserved.
Legal content Portal by LexBlog LexBlog Logo